Terreny urbà no consolidat en venda a avda. valdegudin, 8, Villamuriel De Cerrato, Palencia
Característiques
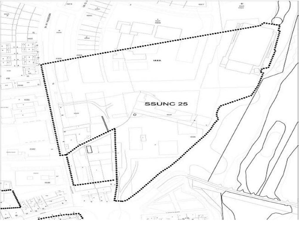
- 7.991 m2 superfície
- Classificació urbanística: Urbà no consolidat
- Sector PGOU: SSUNC-25
- Referència Cadastral: 4559506UM7445N0001II
- Ús principal o majoritari: Residencial ,
- Edificabilitat total s/r: 2.796 m2
- Edificabilitat d’ús majoritari: 2.516 m2
- Edificabilitat altres usos: 280 m2
- Tipologia edificatòria: UNIFAMILIAR / PLURIFAMILIAR
- % participació en l’àmbit: 19,31 %
- Projecte d’urbanització: PENDENT
- Projecte de reparcel·lació: PENDENT
Notes
Afegeix una nota a aquest immoble...
Nota actualitzada a les
Descripció
Ampli terreny en ben situat, a l'entrada de la localitat, al costat de col·legi i poliesportiu. Sòl que actualment no és apte per construir perquè està condicionat a l'execució i/o tramitació d'algun instrument de gestió urbanística, i no ha adquirit la condició de ¿solar¿. No deixeu d'informar-vos!
Descàrregues
Ubicació de l'immoble
Avda. Valdegudin, 8, Villamuriel De Cerrato, Palencia
Que no t'ho prenguin
Vist per 81 persones aquest mes.
Sigues un dels primers a contactar.
Desat com a preferit per 4 persones.
Municipi: villamuriel de cerrato
Provincia: Palencia
Nre. d'habitants: 6.427
Superficie: 39,76 km2
Villamuriel de Cerrato és un municipi a la província de Palència, comunitat autònoma de Castilla y León. Situada a la comarca del Cerrato a 7 km. de la capital de província Palència, a una altitud de 727 msnm. I amb una superfície de 40.02 Km2. Travessat per el riu Carrión, al marge dret hi trobem el canal de Castilla i a l’esquerra, la sèquia de Palancia i el canal d’Alfons XIII. El seu gentilici es coneix sota el nom de cerrateños o villamurelienses. En les seves terres s’hi cultiven explotacions de secà i de regadiu amb una variada ramaderia i indústria agroalimentària però sobretot automobilística des del 1978.
- Habitants: 6.427
- Nombre de llars: 3.001
- Edat mitjana de les persones: 37 anys
- % estrangers: 8%
- Nivell mitjà d’estudis: Secundari
- % dedicats a segona residència: 6%
- Nre. d’hotels per cada 1.000 habitants residents: 0
- Nombre d’hospitals: 1
- Nombre de farmàcies: 2
- Nombre d’escoles d’ensenyament primari: 3
- Nombre d’escoles d’ensenyament secundari: 1
- Nombre d’estacions de ferrocarril: 1
Urbà no consolidat en venda a Avda. Valdegudin, 8 Villamuriel De Cerrato, Palencia
89.000€
Sol·licitud enviada
Rebràs un correu amb les dades de contacte del teu assessor perquè puguis concertar una visita a l’immoble.
Si us plau, si no t’arriba, revisa les safates de correu no desitjat i de promocions del teu correu.
Ens agradaria saber les teves preferències.
Immoble de promoció conjunta
Alerta, estàs deixant la teva petició d'informació en una promoció formada per més d'un actiu, revisa la fitxa d'aquest producte abans de sol·licitar informació.
Inmueble tipología Obra Parada
Importante: estás dejando tu petición de información sobre una estructura pendiente de finalizar que se comercializa completa y destinada a perfil inversor / promotor.
Immoble tipologia Obra Aturada
Important: estàs deixant la teva petició d'informació sobre una estructura pendent de finalitzar que es comercialitza completa i destinada a perfil inversor / promotor.
Habitatge sense possessió
No és possible visitar aquest immoble ni finançar-lo.
Confirmes que t’interessa aquesta tipologia d’actiu destinat a públic inversor?
Immoble proindivís
Important: aquest actiu és un proindivís, la propietat del qual correspon a diverses persones, cadascuna de les quals tindrà únicament un percentatge determinat sobre la propietat de l’immoble.
Confirmes que t’interessa aquesta tipologia d’actius?
Gràcies per contactar
Rebràs un correu amb les dades de contacte del teu assessor perquè puguis concertar una visita a l’immoble.
Si us plau, si no t’arriba, revisa les safates de correu no desitjat i de promocions del teu correu.
Propietari de l'immoble
Actualitzat el 03/03/2026
Termes i condicions
La informació que és conté en aquesta pàgina web està subjecta a actualitzacions sense previ avís, per això s'ha de conformar en cada cas per mitjà del 942 049 000. Els preus no inclouen impostos ni despeses a càrrec del comprador. Els productes anunciats poden estar en tràmit d'inscripció en el Registre de la Propietat.
Tota la informació referida al RD 515/1989, de 21 d'abril, sobre protecció dels consumidors quant a la informació que cal subministrar en la compravenda i arrendament d'habitatges; la normativa autonòmica complementària; el RD 390/2021, de 1 juny, sobre certificació energètica dels edificis, i la legislació restant aplicable es troba a disposició dels usuaris a les nostres oficines de l'avinguda de Burgos 12, 28036 Madrid. Tots els productes que s'anuncien en aquesta web els comercialitza Servihabitat.
Dades del propietari i comercialitzador
Immoble propietat de Coral Homes, SL, societat amb domicili social a l'av. de Burgos, 12, 28036 Madrid i CIF número B88178694, i inscrita en el Registre Mercantil de Madrid al tom 38172, foli 50, full M-679225.
Comercialitzadora: Servihabitat Servicios Inmobiliarios, SLU, amb domicili a l'av. de Burgos, 12, 28036 Madrid, i inscrita en el Registre Mercantil de Madrid, tom 37153, foli 143, full M-663089.
Condicions promocionals
DESTINATARIS DE LA COMERCIALITZACIÓ DE L'IMMOBLE I TRIBUTACIÓ DE LA COMPRAVENDA EN CAS D'ACCEPTACIÓ DE L'OFERTA: L'ofertor declara saber que la comercialització i venda de l'immoble objecte d'aquesta oferta està condicionada al fet que la tributació de la transmissió de l'objecte d'aquesta quedi, sota qualsevol circumstància, subjecta i no exempta d'IVA/IGIC. Com a conseqüència d'això, l'ofertor efectua i assumeix les declaracions i els compromisos següents: I. En el cas de segons lliuraments d'edificacions i terrenys no edificables (llevat dels que es troben en curs d'urbanització), l'ofertor declara que és empresari professional i que, en relació amb l'adquisició de l'immoble, compleix els requisits legals per a acollir-se a la renúncia a l'exempció de l'IVA / IGIC prevista en la normativa vigent. La venda de terrenys que tinguin la condició d'edificables (solar o qualsevol altre terreny amb llicència administrativa per a edificar), així com la venda de terrenys en curs d'urbanització l'execució material dels quals hagi començat, quedarà subjecta a IVA/IGIC inexorablement, amb independència de la condició de l'adquirent. II. Que, en cas que aquesta oferta resulti acceptada (d'acord amb el que s'estableix en l'apartat "Acceptació de l'oferta per Servihabitat Servicios Inmobiliarios, SLU i els seus efectes"), si es tractés d'una segona transmissió, l'ofertor es compromet i s'obliga a acceptar la renúncia de l'IVA/IGIC en el moment d'atorgar escriptura de compravenda. Com a conseqüència d'això, l'ofertor declara saber i acceptar que la compravenda de l'immoble quedarà subjecta i no exempta d'IVA/IGIC. III. Que, en cas que l'ofertor incompleixi, per qualsevol circumstància, el compromís manifestat en els apartats anteriors, el propietari tindrà dret a resoldre aquesta oferta fent seva la quantitat lliurada per l'ofertor en virtut de l'oferta o de les arres, en cas que aquestes s'hagin subscrit d'acord amb el que s'estableix en l'apartat "Acceptació de l'oferta per Servihabitat Servicios Inmobiliarios, SLU i els seus efectes" d'aquest document. IV. L'ofertor declara saber i acceptar que les manifestacions i els compromisos estipulats en els apartats (i) a (iii) constitueixen una condició essencial per a acceptar aquesta oferta.El teu compte
Entra amb la teva adreça electrònica i contrasenya per a tenir accés directe a el teu compte:
El teu compte
Entra amb la teva adreça electrònica i contrasenya per a tenir accés directe a:
Accedeix-hi per gaudir dels avantatges de ser usuari registrat:
El teu perfil
Els teus preferits
Les teves cerques desades
Ets un usuari particular? Accedeix-hi com a particular
El teu compte
Entra al teu compte i aprofita tots els avantatges de desar els teus immobles preferits.
Accedeix-hi per gaudir dels avantatges de ser usuari registrat:
Marca els teus immobles preferits
T'informarem si baixen de preu
Afegeix-hi notes i comentaris
T'avisarem si es donen de baixa
Ets un usuari particular? Accedeix-hi com a particular
El teu compte
Entra al teu compte i aprofita tots els avantatges de desar els teus immobles preferits.
Accedeix-hi per gaudir dels avantatges de ser usuari registrat:
Marca els teus immobles preferits
T'informarem si baixen de preu
Afegeix-hi notes i comentaris
T'avisarem si es donen de baixa
El teu compte
Per gaudir del Dosier Comercial, registra't a Servihabitat. A més, des del teu compte podràs gestionar:
El teu perfil
Els teus preferits
Les teves cerques desades
Ets un usuari particular? Accedeix-hi com a particular
El teu compte
Ets un usuari particular? Accedeix-hi com a particular
Sobre la teva privacitat
Fem servir galetes pròpies i de tercers per a finalitats analítiques i per millorar la funcionalitat del nostre web i/o mostrar-vos continguts personalitzats a partir del perfil que hem elaborat en funció dels vostres hàbits de navegació. En prémer “Acceptar-les totes” s’entén que se us ha informat de la instal·lació i l’ús de les galetes seleccionades i que ho accepteu. Podeu prémer “Configuració de galetes” per configurar o rebutjar les galetes. Per a més informació o per deshabilitar les galetes en qualsevol moment, visiteu la nostra Política de galetes.
Configura les cookies
¿Què són les cookies?
Qualsevol lloc web que visitis pot emmagatzemar o recuperar informació al teu navegador, principalment per mitjà de les cookies. Aquesta informació pot ser sobre tu, sobre les teves preferències o sobre el teu dispositiu, i s’utilitza principalment per a fer que el lloc funcioni com esperes que ho faci. La informació no et sol identificar directament, però sí que et pot oferir una experiència web més personalitzada. Respectem el teu dret a la intimitat, de manera que et pots negar a admetre determinats tipus de cookies. Fes clic als diferents títols de les categories per a obtenir-ne més informació i canviar la nostra configuració determinada. Tanmateix, bloquejar alguns tipus de cookies pot afectar la teva experiència amb el lloc i els serveis que et podem oferir.
Cookies tècniques
Aquestes cookies permeten les funcions bàsiques i són necessàries per a l’ús correcte de la pàgina web, atès que permeten la navegació per la pàgina i fer servir les diverses opcions o els serveis que té. Amb aquestes cookies podem, per exemple, identificar-lo durant la sessió, donar-li accés a parts d’accés restringit i fer servir elements de seguretat durant la navegació.
Cookies de preferències
Aquestes cookies permeten personalitzar l’experiència de l’usuari i emmagatzemar les seves preferències. Per exemple, són aquelles que desen les teves preferències a la recerca del lloc.
Cookies de mesurament
Aquestes cookies permeten comptar les visites i les fonts de trànsit per a poder mesurar i millorar el rendiment de la pàgina web. Fem servir aquestes cookies per poder millorar el servei que oferim als usuaris. Tota la informació que recullen aquestes cookies és agregada i, per tant, anònima.
Cookies de publicitat
Aquestes galetes dels nostres socis publicitaris s'utilitzen per oferir-li publicitat que pugui ser del seu interès, per rebre missatges personalitzats i compartir les seves dades amb les eines publicitàries de Google. Si no accepta aquestes galetes, els anuncis continuaran mostrant-se, però deixaran d'estar personalitzats.
Altres immobles similars a la provincia de Palencia
268.000 €
Urbanitzable en transformació en venda a X Y Xi, Fuentes De Valdepero, Palencia
- 77.380m2