3 inmuebles disponibles en Urbano para construir en venta en c. fonte, 28, Fene
36.000€
Terreno urbano para construir en venta en c. fonte, 28, Fene, La Coruña
Características
- 505 m2 superficie
- Unifamiliar
- Gestión urbanística realizada
- Clasificación urbanística: Urbano
- Referencia Catastral: 5690935NJ6058N0001TB
- Uso principal o mayoritario: Residencial ,
- Edificabilidad Total s/r: 152 m2
- Edificabilidad de uso mayoritario: 152 m2
- Tipología edificatoria: UNIFAMILIAR
Notas
Añade una nota a este inmueble...
Nota actualizada el a las
Descripción
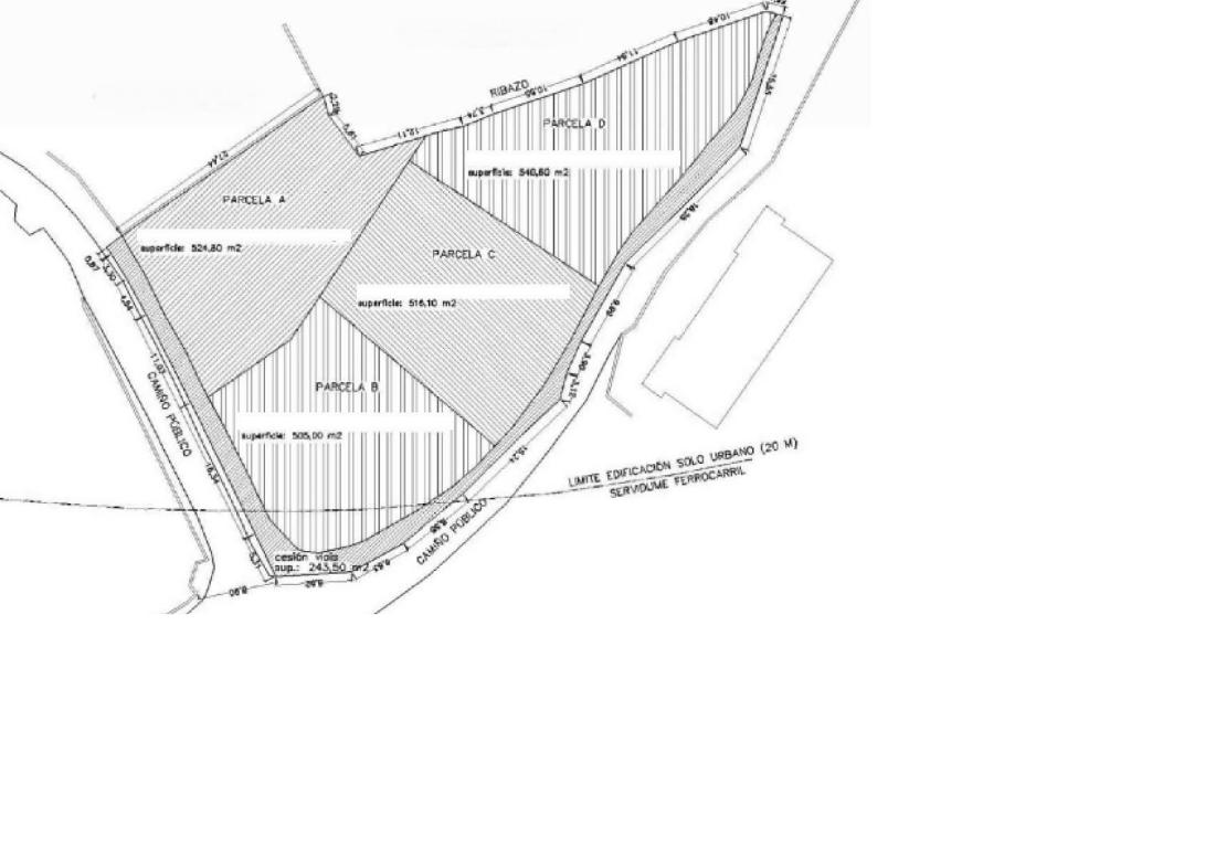
Conjunto de 4 parcelas de suelo urbano con una superficie total de 2087 m2, sobre los que se pueden materializar 4 viviendas unifamiliares aisladas con una superficie construida media de 155 m2 por unidad.
Excelente ubicación en la costa de Fene, a menos de 500 metros de tres playas: Almieiras, Coído y Río Sandeo. A 3 km de Playa Magdalena (Cabanas).
Magnífica oportunidad para construir tu casa en un entorno único.
Descargas
Ubicación del inmueble
C. Fonte, 28, Fene, La Coruña
Que no te lo quiten
Visto por 48 personas este mes.
Sé uno de los primeros en contactar.
Guardado como favorito por 9 personas.
Municipio: fene
Provincia: A Coruña
N.º de habitantes: 13.250
Superficie: 26,43 km2
Fene es una localidad y municipio gallego situado en la provincia de A Coruña. Se trata de un municipio que cuenta con 13.000 habitantes aproximadamente, tradicionalmente de carácter rural e industrial, tuvo una fuerte importancia la construcción naval, a día de hoy el municipio ha diversificado su economía y ha aumentado la superficie industrial, promoviendo así el asentamiento de nuevas actividades.
- Habitantes: 13.250
- Número de hogares: 7.908
- Edad media de las personas: 46 años
- % extranjeros: 0%
- Nivel medio de estudios: Secundaria
- % dedicadas a segunda residencia: 6%
- Nº de hoteles por cada 1.000 habitantes residentes: 0,2
- Número de hospitales: 3
- Número de farmacias: 12
- Número de escuelas de primaria: 4
- Número de escuelas de secundaria: 2
- Número de estaciones ferrocarril: 2
Urbano para construir en venta en C. Fonte, 28 Fene, La Coruña
36.000€
Solicitud enviada
Recibirás un email con los datos de contacto de tu asesor para que puedas agendar una visita al inmueble.
Por favor, si no te llega, revisa las bandejas de SPAM y promociones de tu correo.
Nos gustaría conocer tus preferencias.
Inmueble de promoción conjunta
Cuidado, estás dejando tu petición de información en una promoción formada por más de un activo, revisa la ficha de este producto antes de solicitar información.
Inmueble tipología Obra Parada y en promoción conjunta
Importante: estás dejando tu petición de información sobre una estructura pendiente de finalizar que se comercializa completa y destinada a perfil inversor / promotor. Es una promoción formada por más de un activo, revisa la ficha de este producto antes de solicitar información.
Inmueble tipología Obra Parada
Importante: estás dejando tu petición de información sobre una estructura pendiente de finalizar que se comercializa completa y destinada a perfil inversor / promotor.
Vivienda sin posesión
No hay posibilidad de visitar este inmueble ni de financiarlo.
¿Confirmas que estás interesado en esta tipología de activos destinados a público inversor?
Inmueble proindiviso
Importante: este activo es un proindiviso, cuya propiedad corresponde a varias personas, cada una de las cuales ostentará únicamente un porcentaje determinado sobre la propiedad del inmueble.
¿Confirmas que estás interesado en esta tipología de activos?
¡Gracias por contactar!
Recibirás un email con los datos de contacto de tu asesor para que puedas agendar una visita al inmueble.
Por favor, si no te llega, revisa las bandejas de SPAM y promociones de tu correo.
Propietario del inmueble
Actualizado el 01/12/2025
Términos y condiciones
La información contenida en esta página web está sujeta a actualizaciones sin previo aviso, por lo cual se debe conformar en cada caso a través del 942 049 000. Los precios no incluyen impuestos y gastos a cargo del comprador. Los productos anunciados pueden estar en trámite de inscripción en el Registro de la Propiedad.
Toda la información referida en el R.D. 515/1989, de 21 de abril, sobre protección de los consumidores en cuanto a la información a suministrar en la compraventa y arrendamiento de viviendas, la normativa autonómica complementaria, el R.D. 390/2021, de 1 junio, sobre certificación energética de los edificios, y la demás legislación aplicable se encuentra a disposición de los usuarios en nuestras oficinas en Avenida de Burgos 12, 28036 Madrid. Todos los productos anunciados en esta web los comercializa Servihabitat.
Datos del propietario y comercializador
Inmueble propiedad de Coral Homes, S.L., sociedad con domicilio social en Avda. de Burgos 12, 28036 Madrid y CIF número B88178694, inscrita en el Registro Mercantil de Madrid al tomo 38172, folio 50, hoja M-679225.
Comercializador: Servihabitat Servicios Inmobiliarios, S.L.U., con domicilio en la Avenida de Burgos, 12, 28036 Madrid, inscrita en el Registro Mercantil de Madrid, Tomo 37153, Folio 143, Hoja M-663089.
Tu cuenta
Entra con tu email y contraseña para tener acceso directo a tu cuenta:
Tu cuenta
Entra con tu email y contraseña para tener acceso directo a:
Accede para disfrutar de las ventajas de ser usuario registrado:
Tu perfil
Tus favoritos
Tus búsquedas guardadas
¿Eres usuario particular? Accede como particular
Tu cuenta
Entra en tu cuenta y aprovecha todas las ventajas de guardar tus inmuebles favoritos.
Accede para disfrutar de las ventajas de ser usuario registrado:
Marca tus inmuebles favoritos
Te informaremos si bajan de precio
Añade notas y comentarios
Te avisaremos si se dan de baja
¿Eres usuario particular? Accede como particular
Tu cuenta
Entra en tu cuenta y aprovecha todas las ventajas de guardar tus inmuebles favoritos.
Accede para disfrutar de las ventajas de ser usuario registrado:
Marca tus inmuebles favoritos
Te informaremos si bajan de precio
Añade notas y comentarios
Te avisaremos si se dan de baja
Tu cuenta
Para disfrutar del Dosier Comercial regístrate en Servihabitat. Además, desde tu cuenta podrás gestionar:
Tu perfil
Tus favoritos
Tus búsquedas guardadas
¿Eres usuario particular? Accede como particular
Tu cuenta
¿Eres usuario particular? Accede como particular
Sobre tu privacidad
Utilizamos cookies propias y de terceros para fines analíticos y mejorar la funcionalidad de nuestra web y/o mostrarle contenidos personalizados en base al perfil que hemos elaborado en función de sus hábitos de navegación. Al pulsar en “Aceptar todas” se entiende que ha sido informado y acepta la instalación y uso de todas las cookies seleccionadas. Puede pulsar “Configurar Cookies” para configurar o rechazar las cookies. Para más información o deshabilitar las cookies en cualquier momento visite nuestra Política de cookies.
Configura las cookies
¿Qué son las cookies?
Cualquier sitio web que visites puede almacenar o recuperar información en tu navegador, principalmente a través de las cookies. Esta información puede ser sobre ti, tus preferencias o tu dispositivo y se utiliza pricipalmente para hacer que el sitio funcione como esperas que lo haga. La información no suele identificarte directamente, pero sí puede ofrecerte una experiencia web más personalizada. Respetamos tu derecho a la intimidad, de modo que puedes negarte a admitir determinados tipos de cookies. Haz clic en los diferentes títulos de las categorías para obtener más información y cambiar nuestra configuarción predeterminada. Sin embargo, bloquear algunos tipos de cookies puede afectar a tu experiencia con el sitio y los servicios que te podemos ofrecer.
Optando por "Guardar selección" sin haber seleccionado ninguna cookie, quedarán rechazadas cookies distintas a las necesarias.
Cookies técnicas
Estas cookies permiten las funciones básicas y son necesarias para el correcto uso de la página web, en tanto que permite navegación en la página y utilizar las diferentes opciones o servicios que tiene. Con ellas podemos, por ejemplo, identificarte durante la sesión, darte acceso a partes de acceso restringido, y utilizar elementos de seguridad durante tu navegación.
Cookies de preferencias
Estas cookies permiten la experiencia del usuario y almacenar sus preferencias. Por ejemplo, son aquellas cookies que guardan tus preferencias de búsqueda del sitio.
Cookies de medición
Estas cookies permiten contar las visitas y las fuentes de tráfico para poder medir y mejorar el rendimiento de la página web. Usamos estas cookies a fin de mejorar el servicio ofrecido a los usuarios. Toda la información recogida por estas cookies es agregada y, por lo tanto, anónima.
Cookies de publicidad
Estas cookies de nuestros socios publicitarios se utilizan para poder ofrecerle publicidad que pueda ser de su interés, para poder recibir mensajes personalizados y compartir sus datos con las herramientas publicitarias de Google. En caso de no haber aceptado estas cookies, los anuncios seguirán mostrándose, pero dejarán de estar personalizados.
Otros inmuebles similares en la zona de Ferrol
18.000 €
Urbano para construir en venta en C. Da Silva, 1, Cedeira, La Coruña
- 90m2
Otros inmuebles similares en la provincia de La Coruña
82.100 €
Urbano para construir en venta en C. Camiño Vello, 79, Campo Longo (vilar-Pontedeume), La Coruña
- 5.744m2
195.000 €
Urbanizable en transformación en venta en Lugar Tarabelo, 82, Sada, La Coruña
- 6.428m2
77.000 €
Rústico en venta en C. Rio Chan, 26, Fontemaior, La Coruña
- 3.341m2